Caribbean Braces for Hurricane Melissa as It Strengthens to Category 5

Caribbean Braces for Hurricane Melissa as It Strengthens to Category 5
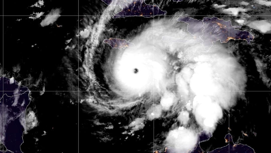
Above: Hurricane Melissa over the Caribbean Sea, pictured on Oct. 26, 2025. Image copyright: National Oceanic and Atmospheric Administration/Getty Images

The Spin

Narrative A

The government of Jamaica has done all it can to make sure it is prepared for this hurricane with sound preparedness measures. However, inhabitants of the island need to take these warnings seriously and ensure they're evacuated to shelters or other safe places.

Narrative B

Most residents would rather stay put than go to government-run shelters. In previous storms, these shelters had issues regarding assault, and many people woke up to find that their belongings had been stolen from them. Jamaica's preparedness is hindered by these systemic issues, which can be found throughout the region.

Metaculus Prediction


Articles on this story



© 2025 Improve the News Foundation. All rights reserved.Version 6.17.2

© 2025 Improve the News Foundation.

All rights reserved.

Version 6.17.2