2 Dead, 1M Evacuated as Super Typhoon Uwan Hits Philippines

2 Dead, 1M Evacuated as Super Typhoon Uwan Hits Philippines
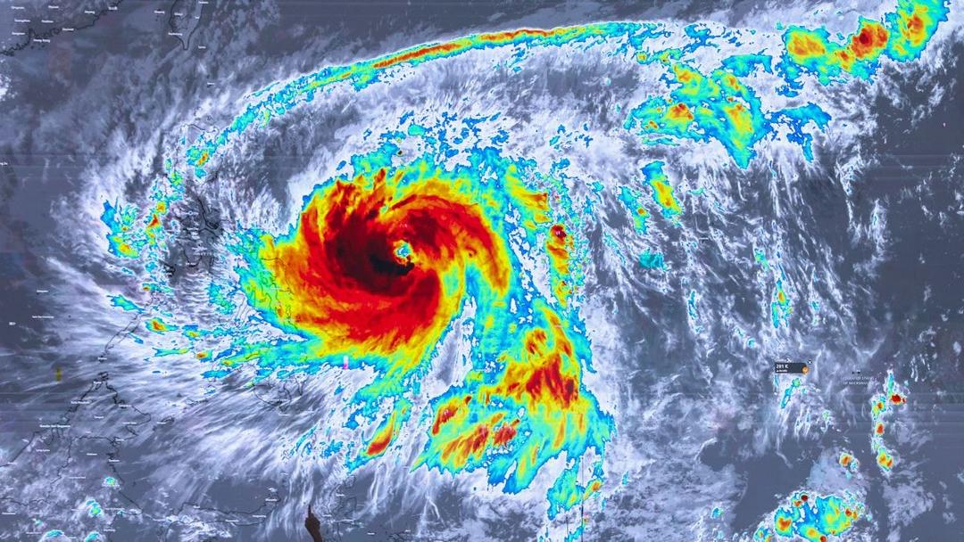
Above: The path of Typhoon Fung-wong on Nov. 8, 2025. Image copyright: Daniel Ceng/Anadolu/Getty Images

The Spin

Pro-government narrative

Police leadership shows genuine care for officers during Super Typhoon Uwan by prioritizing family safety alongside duty. Smart commanders understand that officers with secure families perform better public service. This compassionate approach strengthens the effectiveness of disaster response.

Government-critical narrative

Government disaster preparedness remains dangerously inadequate despite repeated super typhoon devastation like Yolanda's 6,000+ deaths. Critical safety systems, such as geological hazard assessments, are often ignored, leaving communities vulnerable to predictable flooding disasters.

Metaculus Prediction


Public Figures


The Controversies



Establishment split

CRITICAL

PRO



© 2025 Improve the News Foundation. All rights reserved.Version 6.17.2

© 2025 Improve the News Foundation.

All rights reserved.

Version 6.17.2